JenniferWaters
Refine Search

2201 NW 21st Street, Ocala, FL 34475

$6,000,000

3 Total Photos [Click to View All]

Property Description

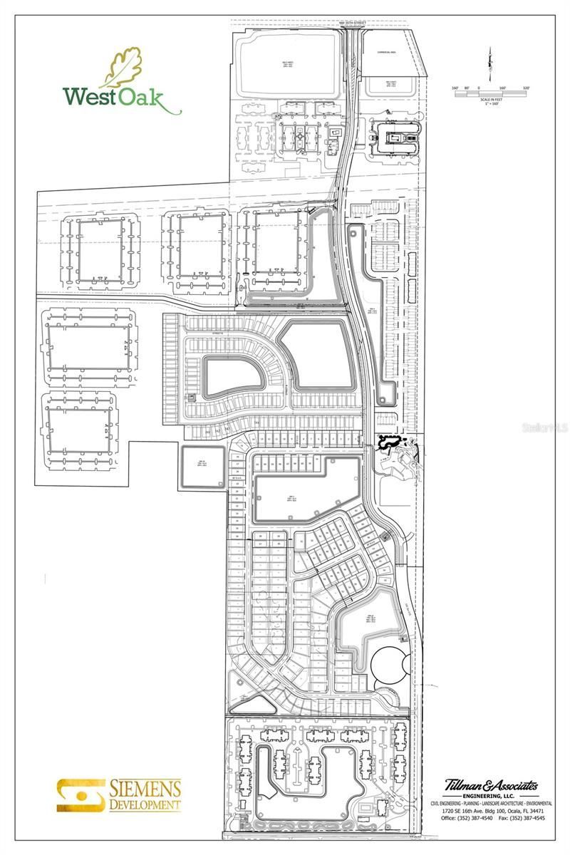
150-unit town home parcel. Shovel ready, site plan and engineering permits in hand. Located in the West Oak Village, Ocala Florida. A 2300-unit masterplan community with 368 occupied apartments, another 100 apartments under construction and 250 in site plan. 100 single family occupied and 210 sites under construction . All utilities to the site; water, sewer, electric, cable. Existing off site drainage DRA provided. Adjacent to the existing 10,000 sf clubhouse, with fitness, pool, and playground and 60-acre park amenities. Site graded and mostly cleared.

2201 NW 21st Street | MLS# OM721652

This land located at 2201 NW 21st Street, Ocala, FL 34475 is currently listed for sale with an asking price of $6,000,000. The property has approximately 13.81 Acres. Search Ocala real estate on jwaters.watsonrealtycorp.com today.

Property Features

Property Type: Land - Multiple
Lot Size: 13.81 Acres
Taxes: $20,311

Feature Descriptions

Days on Site: 2
Directions: South Pine Avenue. Turn left onto SW 10th St. Turn right onto SW Martin Luther King Jr. Ave. Turn left onto SW 21st.
Flood Zone Code: 00
Home Warranty Y/N: No
Lot Dimensions: 13.81
Ownership: Other
Property Attached Y/N: No
Sewer: Public Sewer
Showing Instructions: Go Direct
Special Sale Provisions: None
Utilities: BB/HS Internet Available, Cable Available, Electrical Nearby, Phone Available, Sewer Available, Water Available
Water: None
Water Access Y/N: No
Zoning: PD

Local Schools

High School: Vanguard High School
Middle School: Howard Middle School
Elementary School: College Park Elementary School

Listed By / Shown By

Listed By

Agency Name: LINDA SIEMENS REALTY, LLC
Agency Contact: 352-427-1501

Shown By

Agent Name: Jennifer Waters
Agent Phone: (904) 864-2616
Agency Title: Watson Realty Corp., REALTORS ®

IDX logo

Estimate Your Payment

Estimated Payment

$ 32,375.49 per month $28,932.91 Principal & Interest $1,692.58 Property Tax $1,750.00 Homeowner's Insurance

Change Payment Information

%
years/fixed
yearly
yearly (est.)
(Payments are an estimate and may vary by lender)
Disclaimer: All information deemed reliable but not guaranteed. All properties are subject to prior sale, change or withdrawal. Neither listing broker(s) or information provider(s) shall be responsible for any typographical errors, misinformation, misprints and shall be held totally harmless. Listing(s) information is provided for consumers personal, non-commercial use and may not be used for any purpose other than to identify prospective properties consumers may be interested in purchasing. Information on this site was last updated 03/30/2026. The listing information on this page last changed on 03/30/2026. The data relating to real estate for sale on this website comes in part from the Internet Data Exchange program of Delta Media Group MLS (last updated Mon 03/30/2026 12:00:13 AM EST) or GAMLS (last updated Sun 03/29/2026 11:14:58 PM EST) or Stellar MLS (last updated Sun 03/29/2026 11:44:11 PM EST) or SPC MLS (last updated Sun 03/29/2026 11:20:21 PM EST) or Martin MLS (last updated Sun 03/29/2026 11:38:10 PM EST) or Indian River MLS (last updated Sun 03/29/2026 11:30:19 PM EST) or Daytona MLS (last updated Sun 03/29/2026 11:36:45 PM EST) or Northeast Florida MLS (last updated Sun 03/29/2026 11:58:41 PM EST) or Beaches MLS (last updated Sun 03/29/2026 11:48:33 PM EST) or BORMLS (last updated Sun 03/29/2026 11:15:35 PM EST) or Golden Isles MLS (last updated Sun 03/29/2026 11:26:33 PM EST) or Amelia/Nassau MLS (last updated Sun 03/29/2026 11:25:14 PM EST) or Dixie Gilchrist Levy MLS (last updated Sun 03/29/2026 11:42:16 PM EST) or NFLMLS (last updated Sun 03/29/2026 9:04:21 PM EST). Real estate listings held by brokerage firms other than Watson Realty Corp., REALTORS ® may be marked with the Internet Data Exchange logo and detailed information about those properties will include the name of the listing broker(s) when required by the MLS. All rights reserved.

Listing data and photos distributed by MLSGRID
Member Participants (and their affiliated licensees, if applicable) shall indicate on their websites that IDX information is provided exclusively for consumers’ personal non-commercial use, that it may not be used for any purpose other than to identify prospective properties consumers may be interested in purchasing, that the data is deemed reliable but is not guaranteed by MLS GRID, and that the use of the MLS GRID Data may be subject to an end user license agreement prescribed by the Member Participant’s applicable MLS if any and as amended from time to time. MLS GRID may, at its discretion, require use of other disclaimers as necessary to protect Member Participant, and/or their MLS from liability.
Based on information submitted to the MLS GRID. All data is obtained from various sources and may not have been verified by broker or MLS GRID. Supplied Open House Information is subject to change without notice. All information should be independently reviewed and verified for accuracy. Properties may or may not be listed by the office/agent presenting the information.



Privacy Policy / DMCA Notice / ADA Accessibility

Login to My Homefinder

Pixel